Erdgeschosswohnung mit Blick auf die Ostsee: Göhren auf Rügen

Objektbeschreibung

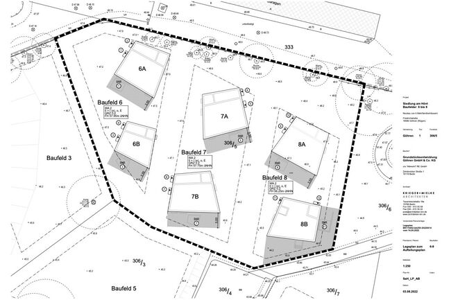
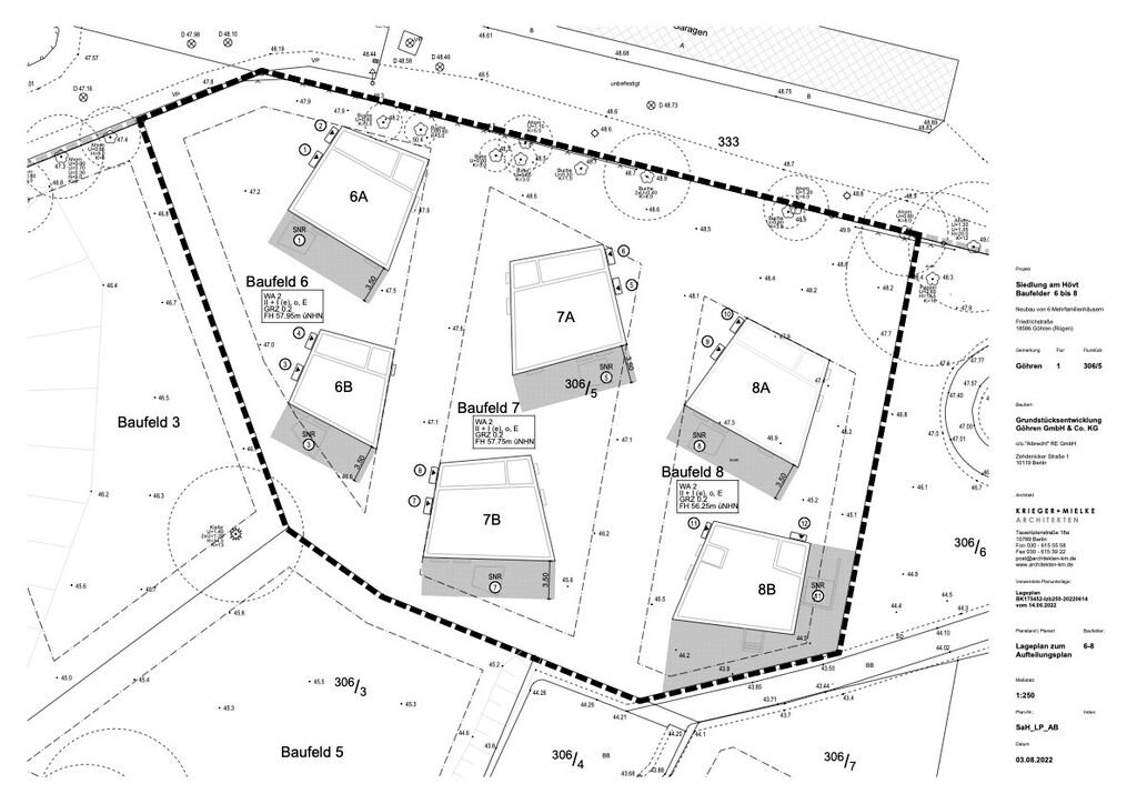
Die optimal geschnittene 3-Zimmer-Wohnung mit ca. 64m² Wohnfläche liegt im Erdgeschoss des Stadthauses mit südlich ausgerichteter Terrasse und Garten. Von dort ist ein herrlicher Blick auf die Ostsee und die Naturlandschaft der Südküste von Göhren möglich. In dem Stadthaus befinden sich insgesamt zwei Wohnungen. Die Wohnung erstreckt sich über das Erdgeschoss des Stadthauses auf Baufeld 6A (siehe Lageplan). Der östlich gelegene Eingang führt direkt in den offenen Wohn- und Essbereich mit bodentiefen Fenstern und Zugang zur Terrasse und Garten. Ein kleiner Stichflur grenzt an den Wohnbereich an und leitet zu den beiden Schlafzimmern und zum Badezimmer mit Tageslicht. Die Räume haben alle bodentiefe Fenster, im Badezimmer befindet sich ein Fenster. Vom Eingang geht ein Abstellraum ab, der als Garderobe genutzt werden kann. Optimale Lichtverhältnisse, ökologisches und energieeffizientes Wohnen in durchdachten Architektenhäusern bieten die beste Voraussetzung für einen Wohnsitz, der Arbeiten und Leben in der Natur am Meer möglich macht. Die Stadthäuser sind ein Bestandteil des Naturquartier Rügen in Göhren, südöstlich gelegen auf der Halbinsel Mönchgut. In enger Zusammenarbeit mit ausgewählten Architekten legen die Projektentwickler den Fokus auf ökologische und nachhaltige Bauweise, auf reduzierte und klare Architektur- und Formensprache und auf gemeinschaftliches Wohnen auf einem der letzten idyllisch-naturbelassenen Grundstücke.

Sonstiges

  • Das Team von Black Label Immobilien bietet Ihnen Unterstützung in allen Bereichen rund um den Kauf einer Immobilie. Unser internationales Team spricht fließend Englisch, Deutsch, Französisch und Mandarin, zudem arbeiten wir mit einem Team aus mehrsprachigen Anwälten, Notaren und Finanzierungsberatern zusammen. Um Ihren persönlichen Ansprüchen gerecht werden zu können, bieten wir Ihnen eine große Auswahl an verschiedenen Immobilien. Senden Sie uns einfach ihre Suchkriterien inklusive:
  • Art der gesuchten Immobilie
  • Ihr Budget
  • Bevorzugter Standort
  • Suchen Sie eine Immobilie als Investment oder zum Eigenbedarf? Für Unterstützung bei der Finanzierung Ihrer Immobilie vermitteln wir Ihnen gern einen Finanzierungspartner. Sind Sie an einer Vermietung Ihrer neuen Immobilie interessiert? Hierfür bietet Black Label ein Verwaltungs-Paket sowohl für unmöblierte als auch möblierte Vermietungen, sowie einen kompletten Design- und Möblierungsservice, angepasst an ihre persönlichen Vorstellungen. Kontaktieren Sie uns, oder besuchen Sie uns in unserem Büro, um mehr Informationen zu erhalten. Alle Angaben stammen vom Verkäufer. Die Firma BLP Investments GmbH übernimmt daher keine Haftung für die Richtigkeit der Angaben. Insbesondere die Angaben zur Wohnfläche, zur Nutzfläche und zur Aufteilung der Wohn-/Nutzfläche sind von uns nicht durch ein eigenes Aufmaß oder eine eigene Wohnflächenberechnung kontrolliert worden. Die Angaben zum Baujahr sind nicht durch eine Einsicht in die Bauakte überprüft worden.

Lage

Rügen ist immer eine gute Wahl, wenn man dauerhaft dort leben will, wo andere Menschen Urlaub machen. Das Naturquartier Rügen liegt zwischen der Friedrichstrasse und der Hövtstraße in Göhren – einerseits fußläufig zum Meer, andererseits angrenzend an das Ortszentrum. Ein Fußweg von der Hövtstraße durch das Naturschutzgebiet einer Dünenlandschaft führt in 5 Gehminuten zum naturbelassenen Südstrand, der in aller Ruhe jenseits jeglicher touristischer Servicedienstleistung zu erholsamem Verweilen einlädt. Ein Spaziergang quer durch das ehemalige Fischerdorf Göhren mit reizenden, historischen Reetdach-Häusern leitet direkt an den belebten Nordstrand mit vielfältigem Angebot für genussvolles Leben. Vom Naturquartier aus fußläufig erreichbar liegen zwei gut sortierte Supermärkte zum Einkauf für den täglichen Bedarf. Supermärkte im 6 Kilometer entfernten Baabe ermöglichen Großeinkäufe.
Max-Dreyer-Straße 8f, 18586 Göhren

Kontaktieren Sie uns

Was ist die Summe aus 7 und 2?

Ihre Daten werden nur zur Beantwortung Ihrer Anfrage genutzt. Wir geben Ihre Daten nicht weiter. Mehr Informationen zum Umgang mit Nutzer-Daten finden Sie in unserer Datenschutzerklärung.